Makléř: František Zbahna
Telefon: 720 980 ...
E-mail: zbahna@ ...
Zobrazit celý kontaktTelefon: 720 980 333
E-mail: zbahna@home4people.cz
Nemovitost nabízí
HOME 4 PEOPLE, a.s.
Nádražní 47/90, 150 00 Praha 5
Zobrazit kontakt na RK734 177 127
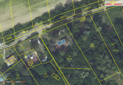
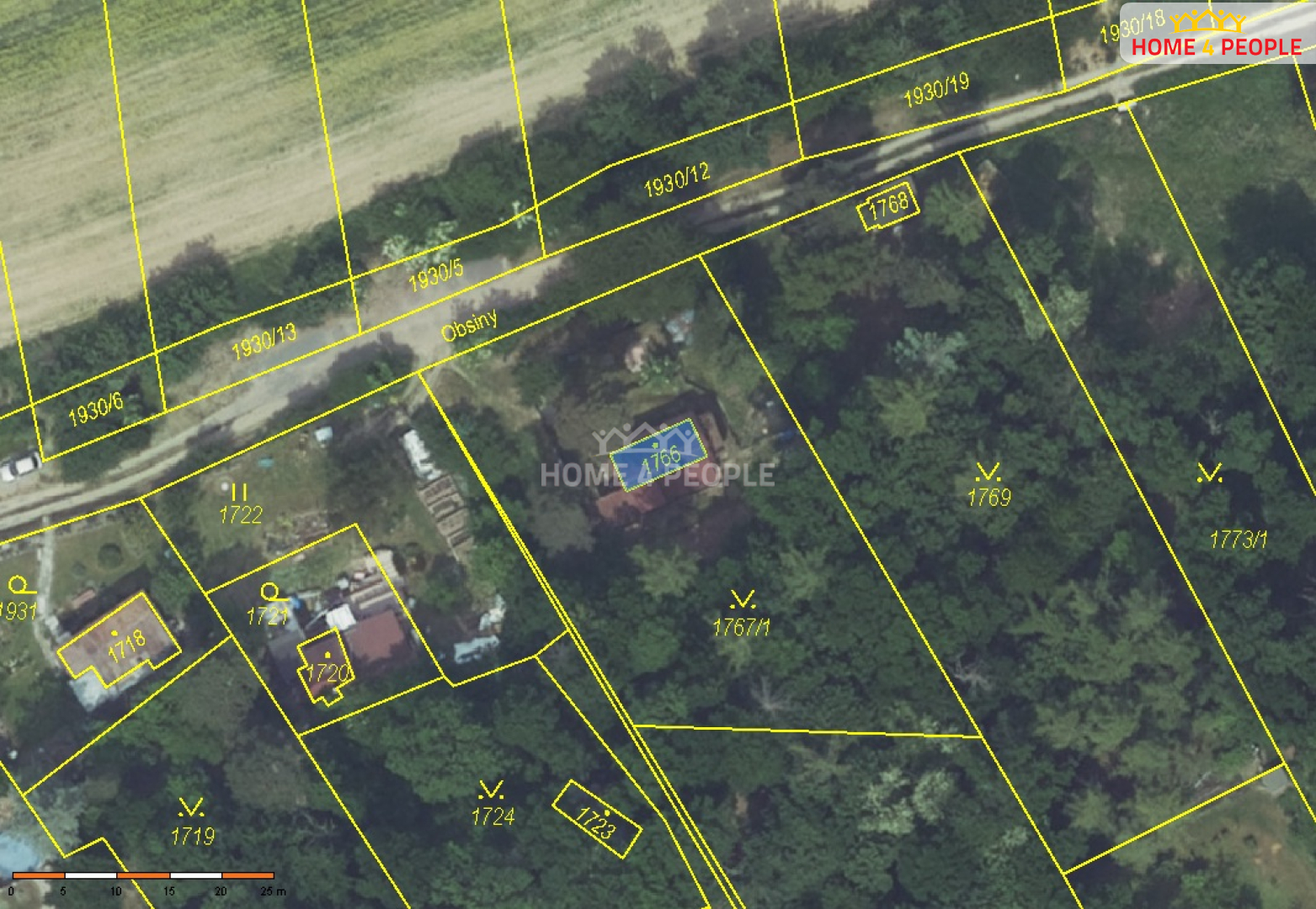
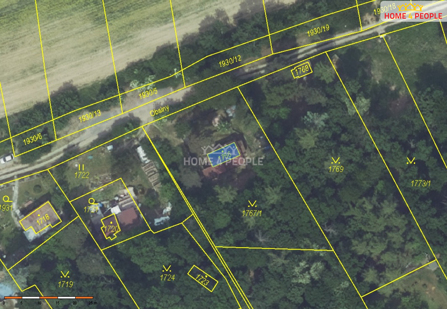
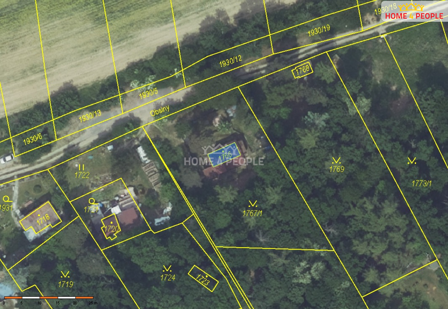
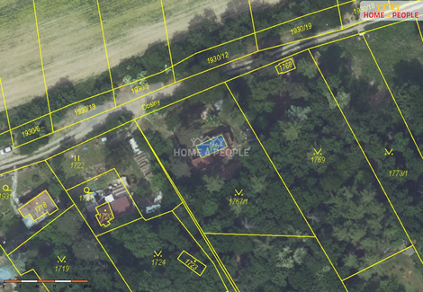
Nabízíme k prodeji spoluvlastnický podíl 1/2 na pozemku parc. č. 1766v katastrálním území Lipence, zapsaném na LV 977. Pozemek má celkovou výměru cca 32 m2, předmětem prodeje je tedy ideální polovina podílu. Na pozemku se nachází cizí rekreační objekt. Parcela se nachází v klidné části Lipenců a je evidována v katastru nemovitostí. Prodej je vhodný zejména pro zájemce o rozšíření stávajícího pozemku v okolí nebo jako dlouhodobá investice. Podrobnější informace k pozemku, listu vlastnictví a právnímu stavu rádi poskytneme na vyžádání. Ev. číslo: 32058.
Prodej, Ostatní pozemky, Praha-Lipence
Nabízíme k prodeji pozemek parc. č. 3311/4 v katastrálním území Lipence, zapsaném na LV 2565. Pozemek má celkovou výměru cca 52 m2. Parcela se…
Prodej, Ostatní pozemky, Praha-Lipence
Nabízíme k prodeji pozemek parc. č. 940/12 v katastrálním území Lipence, zapsaném na LV 2565. Pozemek má celkovou výměru cca 53 m2. Parcela se…