Makléř: PhDr. Jana Bauerová, Ph.D.
Telefon: 723 846 ...
E-mail: jana.ba ...
Zobrazit celý kontaktTelefon: 723 846 706
E-mail: jana.bauerova@gpre.cz
Nemovitost nabízí
GEPARD REALITY
Sokolovská 192/79, Praha
Zobrazit kontakt na RK739 975 533
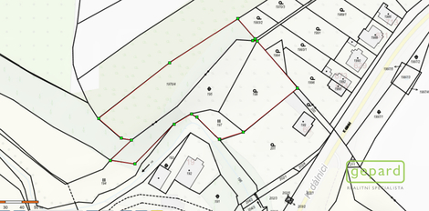
Nabízíme soubor pozemků situovaný na pomezí městských částí Praha - Pitkovice a Praha - Uhříněves, tvořící funkční celek o celkové výměře 4 855 m2, část je dle platného územního plánu vedena jako zastavitelná plocha OB - čistě obytné - určená pro bydlení a část jako nezastavitelná plocha ZMK - zeleň městská a krajinná. Nezastavitelná část pozemků plynule navazuje na přírodní zeleň u Pitkovického potoka, který místy tvoří její přírodní hranici. Podél Pitkovického potoka je vymezen biokoridor ÚSES. Tyto skutečnosti podtrhují výjimečnost a přírodní charakter lokality, kde je propojena příroda, voda a klid a zároveň zachována dostupnost kompletní občanské vybavenosti hlavního města. Jedná se o pozemky parc. č. 195, 197, 198 v katastrálním území Pitkovice a parc. č. 1970/4 v katastrálním území Uhříněves. Přístup je od stávající komunikace zajištěn prostřednictvím pozemku parc. č. 200 (k.ú. Pitkovice). Kompletní inženýrské sítě se nacházejí na hranici sousedního pozemku u zastavitelné části. Pozemky nabízí flexibilní možnosti využití: • realizace jednoho velkorysého rodinného domu s nadstandardní zahradou nebo • rozdělení na 2-3 dostatečně velké stavební parcely, kde každá bude mít vlastní zastavitelnou část v kategorii OB a navazující nezastavitelnou plochu v kategorii ZMK pro zahradu. Zahrady tak mohou sousedit s vymezeným biokoridorem ÚSES (či do něj zasahovat), což zajišťuje dlouhodobé zachování klidného, zeleného prostředí a vysokou míru soukromí. Pozemky jsou vhodné jak pro koncového klienta hledajícího výjimečné a nadstandardní bydlení, tak pro investora uvažujícího o citlivém přerozdělení pozemků v souladu s územním plánem. V případě zájmu pro Vás zajistíme nejvýhodnější podmínky financování na trhu a rovněž případný prodej Vaší stávající nemovitosti. Pro více informací či domluvení termínu prohlídky mne, prosím, kontaktujte.
Pozemek se stavebním povolením na rodinný dům Praha Lipence
Pozemek o rozloze 1 275 m2 s platným stavebním povolením na výstavbu rodinného domu od renomované architektonické kanceláře včetně veškeré…
Stavební pozemek s rozvojovým potenciálem Praha 13, Stodůlky (ul. Chalabalova)
Nabízíme k prodeji stavební pozemek o celkové výměře 821 m v městské části Praha 13 Stodůlky, ulice Chalabalova. Pozemek je tvořen třemi parcelami č…